111 W DUGWAY HWY 196 Tooele, UT 84074
111 W DUGWAY HWY 196 Tooele, UT 84074
111 W DUGWAY HWY 196 Tooele, UT 84074
111 W DUGWAY HWY 196 Tooele, UT 84074
111 W DUGWAY HWY 196 Tooele, UT 84074

111 W DUGWAY HWY 196 Tooele, UT 84074

For Sale$3,950,000
1,947,132 sqft
44.70 acres

PROPERTY DETAILS

About This Property

This land / lot for sale at 111 W DUGWAY HWY 196 Tooele, UT 84074 has been listed at $3,950,000 and has been on the market for 105 days.

Full Description

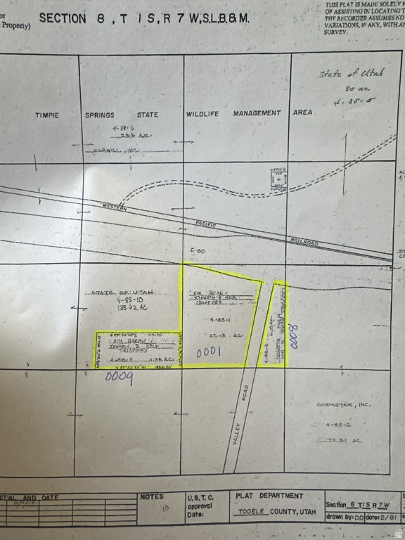
There 2 additional parcels included in the sale Parcel #04-088-0-0001 and #04-088-0-0008 plus 52 acre ft of water rights The property has Freeway frontage on Exit 77 Tooele/Dugway 196 road runs thru the property Excellent for a Travel Center etc. Please call Ronn Marshall 801-597-9099 for other information

Property Highlights

  • Please call Ronn Marshall 801-597-9099 for other information.
  • Generous 52 acre lot provides privacy and space
  • Luxury property with premium finishes and exceptional attention to detail
  • Expansive 44.70 acre estate lot offers endless possibilities

The land / lot for sale at 111 W DUGWAY HWY 196 Tooele, UT 84074 has been listed at $3,950,000 and has been on the market for 105 days.

There 2 additional parcels included in the sale Parcel #04-088-0-0001 and #04-088-0-0008 plus 52 acre ft of water rights The property has Freeway frontage on Exit 77 Tooele/Dugway 196 road runs thru the property Excellent for a Travel Center etc. Please call Ronn Marshall 801-597-9099 for other information


Let me assist you on purchasing a house and get a FREE home Inspection!

General Information

  • Price

    $3,950,000   

  • Days on Market

    105

  • Area

  • House Size

    1947132 Sq Ft

  • Address       

    111 W DUGWAY HWY 196 Tooele, UT 84074

  • Listed By   

    Maple Hills Realty

  • HOA

    NO

  • Lot Size

    44.70

  • MLS

    2126496

  • Status

    Active

  • City

    Tooele

  • Term Of Sale

    Cash,Seller Finance

Inclusions

  • Corner Lot
  • Terrain: Flat

Garage and Parking

  • Garage Type: No
  • Garage Spaces:
  • Carport: No

Price History

Dec 11, 2025

$3,950,000

Just Listed





Other Property Info

  • Area:
  • Zoning: Commercial, Industrial
  • State: UT
  • County: Tooele
  • This listing is courtesy of:: Ronn Marshall Maple Hills Realty.

Based on information from UtahRealEstate.com as of 2025-12-11 11:57:41. All data, including all measurements and calculations of area, is obtained from various sources and has not been, and will not be, verified by broker or the MLS. All information should be independently reviewed and verified for accuracy. Properties may or may not be listed by the office/agent presenting the information. IDX information is provided exclusively for consumers’ personal, non-commercial use, and may not be used for any purpose other than to identify prospective properties consumers may be interested in purchasing.

Housing Act and Utah Fair Housing Act, which Acts make it illegal to make or publish any advertisement that indicates any preference, limitation, or discrimination based on race, color, religion, sex, handicap, family status, or national origin.

Best Utah Real Estate Mobile App
MLS at your fingertips
Real-time updates
Listing Alerts
Interactive Map
Save your searches

Best Utah Real Estate

Your trusted MLS search companion

Accurate Data - Direct MLS feed for real-time listings
Privacy First - We never sell your personal data
Personalized - Custom alerts for your dream home
Easy to Use - Intuitive design for all users